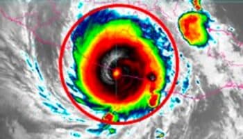
Huracán Otis: Emiten declaratoria de emergencia en Guerrero 
La entidad podrá acceder a recursos del Programa para la Atención de Emergencias por Amenazas Naturales a partir de la publicación de este acuerdo.
- Redacción AN / KC

La Coordinación Nacional de Protección Civil emitió la Declaratoria de Emergencia para el estado de Guerrero tras las afectaciones que dejó el paso del huracán Otis.
La decisión fue resultado del impacto del huracán que dejó graves daños en el estado.
La dependencia afirmó que con esta acción se activan los recursos del Programa para la Atención de Emergencias por Amenazas Naturales, a favor de la entidad.

Foto: Especial
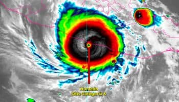
Hasta el momento, la evaluación de daños, según la titular de la SSPPC del gobierno mexicano, Rosa Icela Rodríguez, es de 27 personas fallecidas y 4 desaparecidas tras el paso del huracán ‘Otis’ en Acapulco, Guerrero.
Te puede interesar>Huracán Otis, una consecuencia del calentamiento global: WWF
Además, resultaron afectados 27 sensores del sistema de alerta sísmica mexicano y se calcula que el 80% de la infraestructura hotelera sufrió daños.

Foto: Secretaría de Seguridad Pública de Guerrero


