Video | Avión cazahuracanes se entraña en 'extremadamente peligroso' Milton
Volvió a reforzarse y se elevó a huracán categoría 5, con rumbo a Florida, Estados Unidos; autoridades locales comenzaron evacuación.
- Redacción AN / ES

El avión cazahuracanes WP-3D Orion conocido como “Miss Piggy” se entrañó en el “extremadamente peligroso” ciclón Milton para recopilar datos que ayuden a mejorar el pronóstico y apoyar la investigación de este fenómeno.
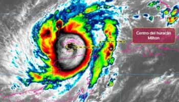
Este martes Milton volvió a reforzarse y se elevó a huracán categoría 5, con rumbo a Florida, Estados Unidos.
En redes sociales circuló un video que muestra a la tripulación de la aeronave mientras sobrevuelan por el huracán Milton. En las imágenes se observan que cruzan una bolsa de aire que causa un jalón del avión y provoca que algunos utensilios salgan volando.
Se espera que Milton impacte el miércoles por la noche en Florida, de acuerdo con el Centro Nacional de Huracanes (NHC, por sus siglas en inglés) de Estados Unidos.
El NHC advirtió que «los residentes de Florida deben prepararse» en sus hogares y evacuar, si así lo indican las autoridades locales.
Asimismo agregó que el «extremadamente peligroso» huracán Milton, que aumentó este martes de tamaño mientras se aproxima a la costa oeste de Florida, presenta en estos momentos vientos máximos sostenidos de 270 kilómetros por hora.
Te podría interesar > Huracán Milton | Biden: ‘evacuar es cuestión de vida o muerte’
Según la trayectoria pronosticada por el NHC, el centro de Milton se moverá este martes y miércoles a través del este del Golfo de México y «tocará tierra a lo largo de la costa centro-oeste de Florida el miércoles por la noche», para luego cruzar la península y salir al Atlántico.
(Con información de EFE)



