¿A dónde se dirige 'Beryl', huracán de categoría 5, este 2 de julio? 
En la temporada de huracanes en la cuenca atlántica, que comenzó el pasado 1 de junio, se han formado hasta ahora tres tormentas tropicales con nombre: Alberto, Beryl y Chris.
- Redacción AN / SH

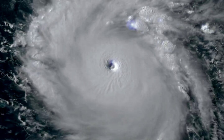
Beryl, un huracán de categoría 5, la mayor en la escala Saffir-Simpson, se dirige mañana miércoles a la isla de Jamaica después de causar destrozos en las islas de Barlovento, y amenaza también el sur de República Dominicana y Haití, según el Centro Nacional de Huracanes (NHC, en inglés) de Estados Unidos.
El primer huracán de la temporada atlántica se mantiene como un peligroso sistema con vientos máximos sostenidos de 270 kilómetros por hora, según el más reciente boletín del NHC.
El ciclón se encuentra a 485 kilómetros al sureste de la isla Beata (República Dominicana) y a 1.005 kilómetros al este sureste de Kingston (Jamaica) y se mueve rápidamente hacia el noroeste a 35 kilómetros por hora.
Las alertas de huracán, además de Jamaica, a donde se prevé que llegará el miércoles, incluye las islas Caimán.
También hay alertas de tormenta tropical para la costa sur de República Dominicana, desde Punta Palenque hasta el oeste, en la frontera con Haití, y de allí se extiende hasta la localidad haitiana de Anse d’Hainault.
Beryl se moverá rápidamente a través del sureste y Mar Caribe central este martes y se pronostica que pasará cerca de Jamaica el miércoles, y por las Islas Caimán el jueves.
Los meteorólogos del NHC, con sede en Miami, esperan que Beryl siga siendo un extremadamente peligroso huracán de gran magnitud a medida que avanza sobre el Caribe oriental, con “cierto debilitamiento” a mitad de semana.
El ojo de Beryl, el más temprano de categoría 4 registrado en el área, tocó tierra el lunes sobre la isla Cariobacú y causó estragos en varias de las islas de Barlovento.
En la temporada de huracanes en la cuenca atlántica, que comenzó el pasado 1 de junio, se han formado hasta ahora tres tormentas tropicales con nombre: Alberto, Beryl y Chris.
Chris se formó el domingo en el Golfo de México y tocó tierra en la noche en la localidad de Lechuguillas, localidad del sureño estado mexicano de Veracruz.
Este año el Atlántico tendrá una temporada de huracanes muy por encima del promedio, con la posibilidad de hasta 13 huracanes, de los cuales hasta siete pueden ser de categoría mayor, según la Oficina Nacional de Administración Oceánica y Atmosférica (NOAA, en inglés) de Estados Unidos.
El pronóstico refleja que este año se podrán formar un total de entre 17 y 25 tormentas, es decir, con vientos máximos sostenidos por encima de los 62 kilómetros por hora. EFE




