Flossie se intensifica a huracán categoría 2 frente a Michoacán, Jalisco y Colima
Se mantiene zona de prevención por efectos de vientos de tormenta tropical desde Punta San Telmo, Michoacán, hasta Playa Pérula, Jalisco.
- Redacción AN / RDG

El Servicio Meteorológico Nacional (SMN) informó que el ciclón tropical Flossie se intensificó a huracán categoría 2 en la escala Saffir-Simpson, mientras se desplaza paralelamente a las costas del Pacífico mexicano.
De acuerdo con el organismo, su amplia circulación genera lluvias intensas a puntuales torrenciales, vientos fuertes y oleaje elevado en el sur y occidente del país, además de Sinaloa.
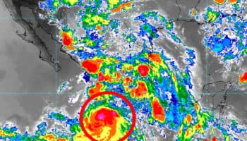
A las 10:00 horas del martes 1 de julio, el centro del huracán Flossie se localizó a 245 km al suroeste de Manzanillo, Colima, y a 740 km al sureste de Cabo San Lucas, Baja California Sur, con vientos máximos sostenidos de 155 km/h y un desplazamiento hacia el noroeste a 17 km/h.

El pronóstico de precipitación acumulada entre las 08:00 horas del martes 1 y las 08:00 horas del miércoles 2 de julio indica:
- – Lluvias puntuales torrenciales (150 a 250 mm) en las costas de Michoacán y Colima.
- – Lluvias puntuales intensas (75 a 150 mm) en la sierra y sur de Sinaloa, así como en el norte, sierra y sur de Nayarit, el oeste, costa y sur de Jalisco, y el suroeste de Guerrero.
Te puede interesar > Urge renovar infraestructura ante lluvias extremas
El SMN también informó que se mantiene zona de prevención por efectos de vientos de tormenta tropical desde Punta San Telmo, Michoacán, hasta Playa Pérula, Jalisco.
Además, continúa la zona de vigilancia desde el este de Punta San Telmo, Michoacán, hasta Zihuatanejo, Guerrero, y desde el norte de Playa Pérula hasta Cabo Corrientes, Jalisco.
El Servicio Meteorológico Nacional exhortó a la población a mantenerse atenta a los avisos oficiales y seguir las recomendaciones de Protección Civil en las entidades afectadas.






